Notícias

Furacão Melissa, conhecido como “tempestade do século”, toca o solo da Jamaica

Segundo meteorologistas, o fenômeno deve atingir Cuba ainda nesta terça-feira (28), horas depois de atingir o país insular localizado no Mar do Caribe

Furacão Melissa, conhecido como “tempestade do século”, toca o solo da Jamaica
Foto: NHC, Reprodução

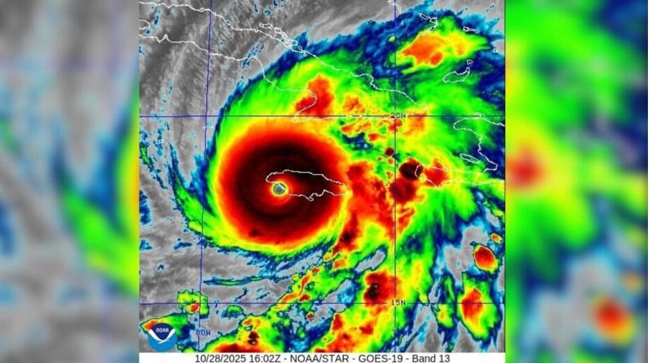
O furacão Melissa, definido por autoridades como a “tempestade do século”, acaba de tocar o solo da Jamaica, na tarde desta terça-feira (28), segundo o Centro Nacional de Furacões (NHC, na sigla em inglês) dos Estados Unidos. Meteorologistas estimam que o fenômeno atravesse a ilha na diagonal, começando na região de Santa Isabel, no Sudeste, e saindo pela região de Santa Ana, no Norte. Ainda conforme especialistas, o furacão deve atingir Cuba nesta terça-feira, poucas horas após chegar à Jamaica.

Um boletim divulgado às 12h desta terça-feira pelo órgão já alertava para a aproximação do furacão na costa sudoeste da Jamaica. “Não saia do seu abrigo enquanto o olho do furacão passa, pois os ventos aumentarão rapidamente do outro lado do olho. Para se proteger do vento, a melhor coisa a fazer é colocar o máximo de paredes possível entre você e o exterior. Um cômodo interno sem janelas, idealmente um onde você também possa evitar a queda de árvores, é o lugar mais seguro para se estar em um edifício. Você pode se cobrir com um colchão e usar um capacete para proteção adicional”, escreveu o NHC em uma publicação no X.

O órgão informou ainda que a próxima atualização viria às 17h, ou quando o fenômeno tocasse o solo da Jamaica — que foi o caso.

Às 6h desta terça, outro boletim do NHC informava que o furacão atingiu ventos “catastróficos” de 280 km/h. O governo da Jamaica já havia emitido ordens de evacuação obrigatória para diversas regiões do país e alertado para danos catastróficos na ilha. Cuba também já começou a evacuar parte da população. O fenômeno está na categoria 5, considerada a mais forte.

A Jamaica já registrou deslizamentos de terra, quedas de árvore e numerosos apagões devido à tempestade prévia. A Organização Meteorológica Mundial (OMM) afirmou que esta será a “tempestade do século” na Jamaica e estima que o Melissa pode trazer rajadas de vento que ultrapassam os 300 km/h, com inundações repentinas e deslizamentos.

A Força Aérea dos Estados Unidos divulgou imagens impressionantes captadas do interior do furacão Melissa. Os registros foram feitos por um esquadrão militar a bordo de um avião a hélice, que mergulhou no olho da tempestade para coletar dados meteorológicos cruciais.

A missão, segundo a Força Aérea, visa monitorar a evolução e o deslocamento de Melissa, alimentando os centros meteorológicos com informações em tempo real.

NSC

----------------------
Receba GRATUITAMENTE nossas NOTÍCIAS! CLIQUE AQUI
----------------------

Envie sua sugestão de conteúdo para a redação:
Whatsapp Business PORTAL SMO NOTÍCIAS (49) 9.9979-0446 / (49) 3621-4806

Cotações

Clima

Sexta
Máxima 31º - Mínima 17º
Céu limpo

Sábado
Máxima 30º - Mínima 21º
Períodos nublados com aguaceiros e tempestades

Domingo
Máxima 28º - Mínima 21º
Céu nublado com aguaceiros e tempestades

Segunda
Máxima 29º - Mínima 21º
Céu nublado com aguaceiros e tempestades

Terça
Máxima 28º - Mínima 20º
Céu nublado com chuva fraca

Sobre os cookies: usamos cookies para personalizar anúncios e melhorar a sua experiência no site. Ao continuar navegando, você concorda com a nossa Política de Privacidade.